«Nunca había pasado antes: es un monstruo»
Olas de siete metros, subidas del nivel del mar, inundaciones, corrimientos de tierra, vientos de 300 kilómetros por hora... «El huracán ha roto todos los registros históricos, se ha convertido en un monstruo»
SUSANA ZAMORA
Sábado, 9 de septiembre 2017, 01:16
Los 13 países que forman las islas del mar Caribe miran al cielo esperando que la llegada del apocalipsis, en forma de huracán y con ... nombre de mujer, se apiade de sus habitantes y minimice sus efectos cuando toque tierra. Después de que haya devastado Barbuda, San Bartolomé y San Martín, 'Irma' se dirige amenazante hacia Puerto Rico, República Dominicana y Haití, aunque Cuba y Florida también permanecen en estado de máxima alerta. Se preparan para lo peor: subida del nivel del mar, olas de siete metros, inundaciones, corrimientos de tierra. También para resistir rachas de viento, que han llegado a alcanzar los 297 kilómetros por hora durante 33 horas, una persistencia nunca vista hasta el momento en el Atlántico y que a última hora de ayer ya se prolongaba durante 37 horas seguidas. «En este sentido, se trata de un registro histórico, aunque el huracán Allen llegó a alcanzar en 1980 los 305 kilómetros a la hora», confirma Jesús Montero, portavoz de la Agencia Estatal de Meteorología (Aemet).
Los meteorólogos no prevén una temporada de huracanes especialmente virulenta ni peor que la de otros años, pero hace tan sólo diez días, 'Harvey', de categoría 4, dejaba medio centenar de muertos y más de 200.000 millones de dólares en daños materiales a su paso por EE UU. La agencia meteorológica de aquel país alertó de un fenómeno nuevo, ya que este huracán de categoría 4, en lugar de avanzar, permaneció estancado sobre el sur de Texas durante varios días provocando enormes inundaciones en Houston. Era la primera vez en 30 años que una tormenta de este tipo ganaba fuerza horas antes de tocar tierra. El aumento de la temperatura de la superficie del agua en el Atlántico contribuyó a la fuerza del huracán y la subida del nivel del mar empeoró las inundaciones.
Pero, ¿está relacionado este fenómeno y la frecuencia de ambos huracanes con el cambio climático? En principio, no. Por el momento, no hay evidencias que asocien taxativamente el cambio climático con el número de huracanes que se generan, «pero sí hay algunos estudios que indican que puede estar relacionado con el aumento de huracanes de categoría 4», advierte Montoro. Sus efectos, con vientos de entre 210 y 250 kilómetros a la hora (a partir de ahí entran en la categoría 5), son devastadores.
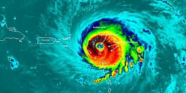
¿Qué origina el huracán?
Aunque la temperatura cálida del océano es un factor básico en la configuración de un huracán y pudiera relacionarse con el calentamiento de la Tierra, Montoro explica que huracanes ha habido siempre en el Caribe, porque en esta zona confluyen una serie de circunstancias propicias. La primera que debe darse es una sistema de bajas presiones, que normalmente se origina a la altura de Etiopía. «Normalmente, provoca una serie de tormentas que se van desplazando hacia el oeste de África y cuando llega al mar, que es ecuatorial y muy cálido, se produce la bajada de presión», explica Montoro. La temperatura elevada del agua es determinante para la formación de los huracanes y debe ser superior a los 26,5ºC. «Cuanto más se evapora, más condensación produce, más humedad y esto genera un calor latente, que actúa como combustible para estos sistemas», apunta el portavoz de la Aemet. Además, es necesario una convergencia de vientos, pero sobre todo, que estos no cambien su dirección con la altura. «De lo contrario, se inhibiría la formación del huracán», advierte.
Desde la Aemet insisten en que para la formación de un huracán de categoría 5 (más de 250 kilómetros a la hora) en la escala Saffir-Simpson (que clasifica los ciclones tropicales según la intensidad del viento), como es 'Irma' es necesario tiempo. «Los huracanes no se forman de un día para otro. Todas las condiciones que intervienen para que se desencadene la tormenta perfecta deben mantenerse durante días para seguir alimentando al monstruo en que se ha convertido 'Irma'».
Pero además de la velocidad media que alcanzan estos huracanes (también llamados ciclones y tifones, según donde se originen), los meteorólogos tienen muy en cuenta el tamaño del huracán para determinar su impacto. En el caso de 'Irma', con 850 kilómetros de diámetro no es el más grande. El récord lo tiene el tifón Tip, con 2.200 kilómetros de diámetro.
España, por ahora, está a salvo de estos fenómenos. «Las características de nuestras latitudes, con aguas menos cálidas y temperaturas más variables, lo hacen improbable», apunta Montoro. Así que aquí, al menos, el aire de Irma seguirá recordando al París de la deliciosa película de Billy Wilder.
¿Tienes una suscripción? Inicia sesión